Mérida, Yucatán, 17 de abril de 2026
Inicio » Ciudadano » Protección Civil de Yucatán »
Protección Civil de Yucatán - Boletín de ciclones tropicales

SISTEMA DE ALERTA TEMPRANA
BOLETÍN DE CICLONES TROPICALES ACTIVOS

Boletín No. H/1110/07

Fecha: Lunes, 13 de septiembre de 2010
Hora: 10:30 hrs.
Sin Alertamiento
por Ciclón Tropical
Ubicación Actual y Trayectoria Pronóstico
Ubicación Actual y Trayectoria Pronóstico
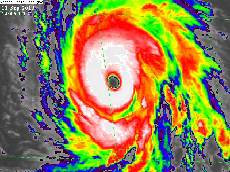
Imagen de Satélite
Imagen de Satélite
Situación actual:

Igor es un huracán de Categoría CUATRO en la Escala Saffir Simpson, se desplaza sobre mar abierto sin amenazar tierra, ha mostrado un desplazamiento hacia el Oeste.

El Centro del Huracán Igor se encuentra a 3,900Km de Cancún, Quintana Roo y a 3,985Kms de Popolnah, Comisaría de Tizimin.

Datos meteorológicos y geográficos
Latitud: 17.5° Norte
Longitud: 49.7° Oeste
Traslación: 17 Km/h hacia el Oeste a 265°
Presión: 933 hPa (Milibares)
Velocidad de los vientos: 240 Km/h
Velocidad de las rachas: 300 Km/h
Distancia del centro del huracán al Estado de Yucatán: 3,985 Kms. de Popolnah, Comisaría de Tizimin.
Distancia de los vientos de Tormenta Tropical al Estado: 3,745 Kms. de Popolnah, Comisaría de Tizimin
Pronóstico:

Se espera que Igor comience a presentar un desplazamiento hacia el Noroeste durante los próximos días, por el momento sin amenazar tierra.

Comentarios:

Siguiente boletín de este sistema:
10:30hrs del Martes 14 de Septiembre

Unidad Estatal de Protección Civil
Elaboró: OOA. Luis Alonso Cortazar Vivas
Coordinador de Meteorología y Sistemas de Información Geográfica
Subsecretaría de Prevención y Seguridad Pública
Gobierno del Estado de Yucatán.
Fuente: Servicio Meteorológico Nacional, Coordinación Nacional de Protección Civil